| 
   
    
     
   
  
  
  - 取引形態/仲介
 
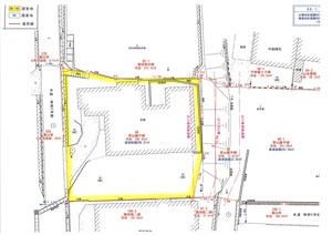
  - 所在地/高山市桐生町7丁目120番2
 
  - 地目/宅地
 
  - 地積/149.01u (45.07坪)
 
  - 建物/1F 74.52u、2F 56.31u
 
     延 130.83u(39.57坪) 
  - 構造/木造亜鉛メッキ鋼板葺2階建 居宅
 
  - 建築年月日/1973年(昭和48年)12月築
 
  ※2014年(平成26年)11月増改築 
  - 用途地域/第一種住居地域
 
  - 建ペイ率60%、容積率200%
 
  - 前面道路/南側 位置指定道路
 
  ※幅員4.35m 接道10.87m 
  - 施設/市営上下水道、中部電力
 
  - 設備/ペアガラス・二重サッシ・エアコン1台・エコキュート給湯器
 
  - 交通/JR高山駅より約2.1q
 
  - 学区/北小、中山中
 
   
  
  
     
   
  上の地図をクリックすると拡大表示されます。
  
  
     
   
  上の間取り図をクリックすると拡大表示されます。
  
  
     
   
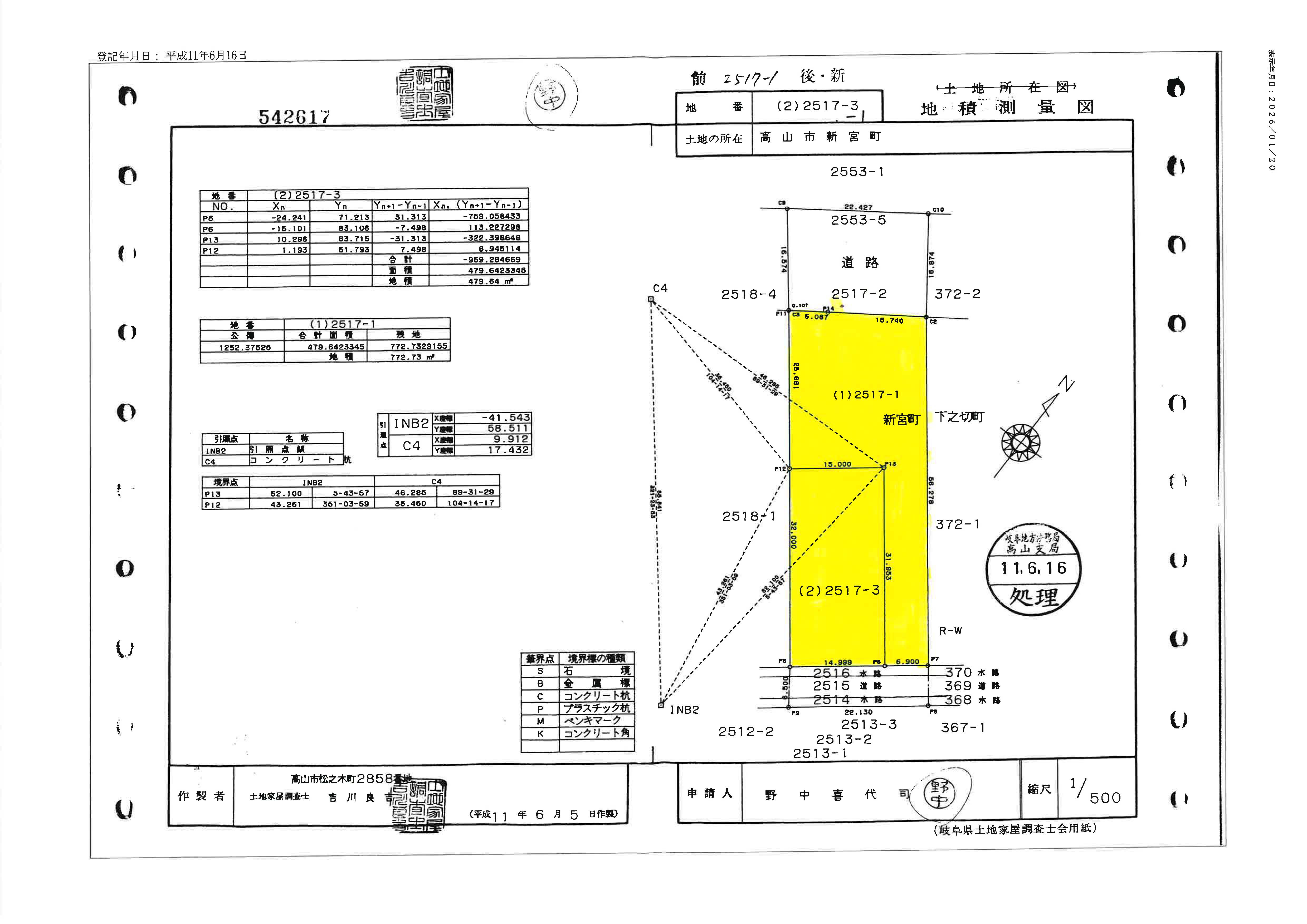
  上の測量図をクリックすると拡大表示されます。
  
    | 
     
  (上)外観 南東から 
    
  (上)外観 南西から 
    
  (左)1F 洋室 西から (右)1F 洋室 東から 
    
  (左)1F 8帖 和室 (右)1F DK 
    
  (左)1F 洗面・脱衣 (中)1F 浴室 (右)1F シャワートイレ 
    
  (左)1F ヒートポンプ (中)1F 玄関 (右)2F 洋室 
    
  (左)2F 西側和室 南から (右)2F 西側和室 北から 
    
  (左)2F 東側和室 南から (右)2F 東側和室 北から  
  
  |